- 化石セブン【HOME】
- 化石販売
- その他の化石の販売
- 針葉樹の樹脂
- 琥珀の化石販売
- 【ベリーレア!】9,900万年前からのタイムカプセル:大粒の「羽毛」が眠るミャンマー産琥珀(バーマイト:Burmite)
【ベリーレア!】9,900万年前からのタイムカプセル:大粒の「羽毛」が眠るミャンマー産琥珀(バーマイト:Burmite)/【ot4518】
日本全国送料0円 この商品について質問する 探して欲しい商品がある
ご入金の確認が完了したご注文は即日発送
送料無料 税込み 36,000円 この価格で分割払いした場合は? | スマホ向けサイトはこちら
こちらは、中生代白亜紀(約9,900万年前)のミャンマー北部カチン州フーコン渓谷で形成された琥珀、バーマイトです。
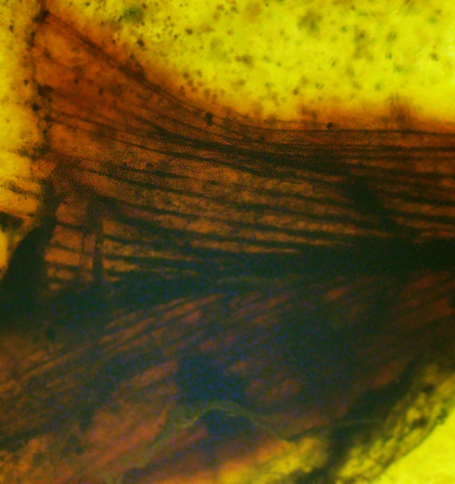
これはバーマイトの中でも、特別な個体。なんと、極めて希少な羽毛が保存されているからです。中央に羽毛の存在がはっきりとわかります。こちらはそのクローズアップです。羽毛入り琥珀の多くは控えめなサイズのものが多いですが、こちらは琥珀の中央付近にドンと鎮座した、存在感のあるもの。ルーペで観察すると、はっきりとその繊維1本1本が確認できます。
バーマイトは、バルチック琥珀(約4,000万年前)よりも圧倒的に古く、非常に硬質(モース硬度2.5〜3)なことで知られています。恐竜が地上を支配し、被子植物が多様化し始めた時代、約9,900万年前の樹脂が悠久の時を経て羽毛を現代へと運んできました。当時、羽毛を持つ生物といえば鳥類、そして恐竜……。羽毛だけから、その主(あるじ)を特定することは難しいですが、まさに、ロマンの塊です。
羽毛の微細な質感をご覧ください。羽枝の並びがはっきりと残されています。前述のようにバーマイトは硬質な琥珀です。こうした繊細な構造を変質することなく、タイムスリップさせるのに適した特徴を備えています。
羽枝が交差しています。2枚の羽毛が重なっている可能性があります。
9,900万年前の「空の支配者」が残した、この一枚。羽軸の先端の細やかな構造までが見て取れます。こうした羽毛入り琥珀は、誰もが欲しい希少なコレクションです。ディーラーとて容易に入手できるものではありません。
実はこの個体のインクルージョン(内包物)は羽毛だけではありません。当時の生態系を構成する、微小な有機物の破片も多数含まれています。樹脂に取り込まれた虫や植物片、土など、当時の生態系の一部をそのまま切り取ったような学術的にも価値ある逸品です。
ルーペをさらに拡大してみると、虫を発見しました。触角、脚、眼まで保存されています。琥珀に取り込まれなければ、まず、これほど精緻に保存されることはありえません。琥珀が「天然のタイムカプセル」と呼ばれる所以です。
バックライトをあてると黒褐色の羽毛が明瞭に浮かび上がってきます。
肉眼でも十分に観察可能ですが、ぜひ高倍率のルーペをお使いください。羽枝の繊維は必見です。
左右約14ミリです。
100円硬貨との比較です。動植物を多様に内包するバーマイトの中でも、「羽毛入り」は、極めてレア。ワンランク、ツーランク上のコレクティブアイテムです。頻繁にご紹介できるアイテムではございませんので、お探しの方はこの機会にぜひ!何と言っても、繊維まで見えるディテールと1センチ近いサイズが魅力です。
約1億年前、恐竜時代に自生していた樹木の樹脂が、悠久の時を経て現代へとたどり着きました。こちらは当時の想像復元図です。
商品スペック
| 商品ID | ot4518 |
|---|---|
| 年代 | 中生代白亜紀(1億3500万 -- 6600万年前) |
| 学名 | 【ベリーレア!】9,900万年前からのタイムカプセル:大粒の「羽毛」が眠るミャンマー産琥珀(バーマイト:Burmite) |
| 産地 | Myanmar |
| サイズ | 1.4cm×1.1cm×厚0.3cm |
| 商品解説 | 【ベリーレア!】9,900万年前からのタイムカプセル:大粒の「羽毛」が眠るミャンマー産琥珀(バーマイト:Burmite) |

バーマイト(ビルマ琥珀)とは?
バーマイトは、ビルマ琥珀やカチン琥珀の名で知られ、ミャンマー北部の渓谷で発掘される約1億年前の恐竜時代に形成された琥珀です。その中には、様々な動植物が内包されており、まれに恐竜の断片的な化石も見つかっています。

琥珀は樹木の樹液が化石化したものですが、その形成には少なくとも数百万年かかるとされています。バーマイトは特に古く、1億年もの時間をかけて形成されており、他の産地の琥珀と比較しても非常に貴重です。

では、このバーマイトの元となった樹液を生み出した樹木は、どのような環境に生えていたのでしょうか。
一説によれば、これらの樹木は海岸近くの熱帯雨林に生えていたと考えられています。その樹液が固まってできた樹脂は海に流され、そこで化石化したとされています。これは、琥珀の中からアンモナイトの殻やサンゴ、カキなどの海洋性生物が発見されたことに基づいています。

さらに、一部の琥珀からは淡水性の貝の化石が見つかっており、海洋だけでなく、沿岸の河川やデルタ、湖、ラグーンなどの環境も存在していたと推測されています。また、焼け焦げた植物の痕跡が含まれていることから、現代の熱帯泥炭湿地のように、当時も火災が頻繁に発生していた可能性があります。

バーマイトの中から発見される動植物の多様性は際立っており、これまでに2000種類以上が記録されています。特に多いのは昆虫で、クモやサソリ、ダニ、ハチ、アリ、ゴキブリ、シロアリ、カマキリ、コオロギ、ヤスデ、ムカデ、水生昆虫などが含まれます。また、植物も多様で、顕花植物、針葉樹、シダ、ヒカゲノカズラ類、コケ類などが確認されています。































