- 化石セブン【HOME】
- 化石販売
- その他の化石の販売
- 針葉樹の樹脂
- 琥珀の化石販売
- 葉脈まで見える!大きな葉が内包された約1億年前の琥珀、バーマイト(Burmite)
葉脈まで見える!大きな葉が内包された約1億年前の琥珀、バーマイト(Burmite)/【ot4159】
日本全国送料0円 この商品について質問する 探して欲しい商品がある
SOLD OUT 売却済み | スマホ向けサイトのトップページはこちら
こちらは、約1億年前の内包物を含んだ、ミャンマー産の琥珀「バーマイト」です。ミャンマー北部のフカワン渓谷で採取されます。この地域には、白亜紀中期(アプチアン末からセノマニアン初期)の地層が広がっており、当時の生物などを内包した琥珀が発見されることで知られています。約1億年前の琥珀は、世界的にも極めて古く、非常に希少です。
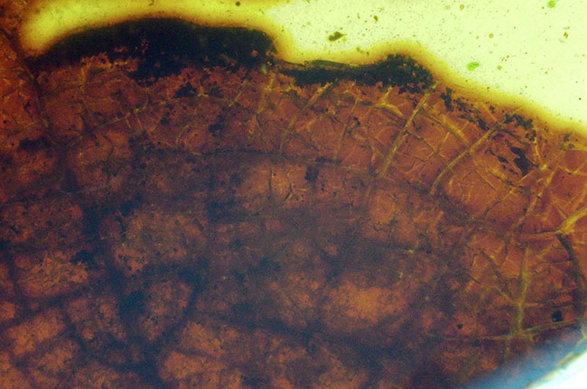
茶色の部分は、大きな葉の一部であると考えられます。
その葉の中には、虫も内包されています。バーマイトには、こうした植物片や昆虫のほかにも、クモ類、ムカデ、ヤスデなどの節足動物、爬虫類の一部、さらには恐竜の羽毛までもが含まれています。保存状態が非常に良好で、「小さなタイムカプセル」として当時の生態系を鮮やかに伝えています。
葉脈まではっきりと保存されています。琥珀でなければ、これほどの保存状態は到底保てなかったでしょう。
バーマイトが採集される地層からは、約9800万年前のものと推定されるジルコンが発見されています。これは白亜紀セノマニアン期の初期に相当し、恐竜がまだ地上を歩いていた時代です。
また、ロンドン自然史博物館に所蔵されている大型のバーマイトの内包物を分析した結果、白亜紀にしか見られない特徴をもつ物質が含まれていることが判明し、バーマイトが白亜紀の琥珀であることを裏付けています。
バーマイトが形成された森は、熱帯雨林に近い環境だったと考えられています。この森は河川や湖、ラグーン、湾などに囲まれており、たびたび森林火災が発生していたと推測されています。実際、バーマイトの中には、焼け焦げたような真っ黒い植物片がしばしば見られます。
ミャンマー産の琥珀の多くは、平たい円盤状の形をしています。極めて古い琥珀でありながら、比較的透明度の高い個体が多く見られ、これは内包物の観察において非常に優れた特徴です。
高倍率のルーペでのぞくと、このような微細な虫を発見することができます。琥珀内部で見つかる虫の多くは、一部が崩れている状態で保存されています。これは、粘性の高い樹液から脱出しようともがいた結果であるとも考えられています。※琥珀は、樹液が長い時間をかけて化石化したものです。
詳しくはコラム「化石を観察するときの、ルーペの選び方」を御覧ください。
バックライトを当てると、葉脈がくっきりと浮かび上がってきます。
肉眼で見ても、非常に美しい琥珀です。
左右22ミリほどあります。
100円玉とほぼ同じ大きさです。大きな葉が内包された約1億年前の琥珀、バーマイトです。
商品スペック
| 商品ID | ot4159 |
|---|---|
| 年代 | 中生代白亜紀(1億3500万 -- 6600万年前) |
| 学名 | 葉脈まで見える!大きな葉が内包された約1億年前の琥珀、バーマイト(Burmite) |
| 産地 | Myanmar |
| サイズ | 2.2cm×1.7cm×厚0.4cm |
| 商品解説 | 葉脈まで見える!大きな葉が内包された約1億年前の琥珀、バーマイト(Burmite) |

バーマイト(ビルマ琥珀)とは?
バーマイトは、ビルマ琥珀やカチン琥珀の名で知られ、ミャンマー北部の渓谷で発掘される約1億年前の恐竜時代に形成された琥珀です。その中には、様々な動植物が内包されており、まれに恐竜の断片的な化石も見つかっています。

琥珀は樹木の樹液が化石化したものですが、その形成には少なくとも数百万年かかるとされています。バーマイトは特に古く、1億年もの時間をかけて形成されており、他の産地の琥珀と比較しても非常に貴重です。

では、このバーマイトの元となった樹液を生み出した樹木は、どのような環境に生えていたのでしょうか。
一説によれば、これらの樹木は海岸近くの熱帯雨林に生えていたと考えられています。その樹液が固まってできた樹脂は海に流され、そこで化石化したとされています。これは、琥珀の中からアンモナイトの殻やサンゴ、カキなどの海洋性生物が発見されたことに基づいています。

さらに、一部の琥珀からは淡水性の貝の化石が見つかっており、海洋だけでなく、沿岸の河川やデルタ、湖、ラグーンなどの環境も存在していたと推測されています。また、焼け焦げた植物の痕跡が含まれていることから、現代の熱帯泥炭湿地のように、当時も火災が頻繁に発生していた可能性があります。

バーマイトの中から発見される動植物の多様性は際立っており、これまでに2000種類以上が記録されています。特に多いのは昆虫で、クモやサソリ、ダニ、ハチ、アリ、ゴキブリ、シロアリ、カマキリ、コオロギ、ヤスデ、ムカデ、水生昆虫などが含まれます。また、植物も多様で、顕花植物、針葉樹、シダ、ヒカゲノカズラ類、コケ類などが確認されています。































